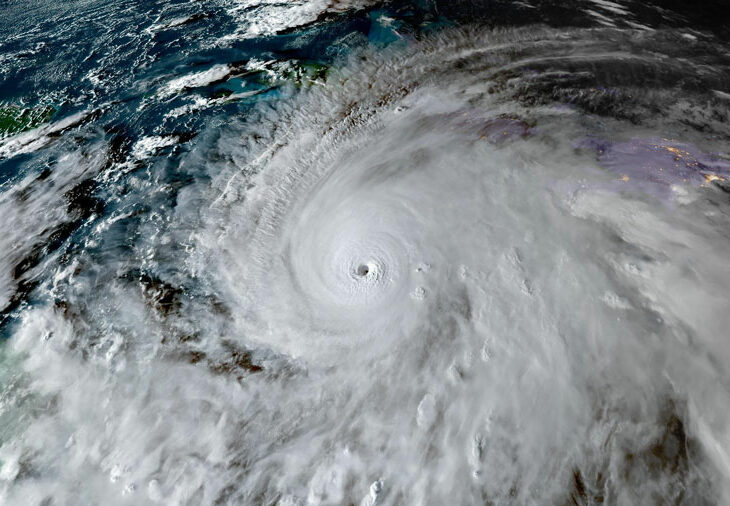
Huracán Melissa baja a categoría 3 mientras se acerca a Cuba
El huracán Melissa es ahora de categoría 3, de un total de 5, según el último informe del Centro Nacional de Huracanes (NHC, por sus siglas en inglés).
Las rachas de viento máximas sostenidas son de alrededor de 205 kilómetros por hora, lo que lo mantiene como un huracán mayor (de categoría 3 o superior), y se desplaza a 13 kilómetros por hora hacia el noreste, cada vez más cerca de Cuba, donde se espera que toque tierra esta madrugada cerca de Santiago de Cuba, la segunda ciudad más poblada del país.
Las autoridades cubanas han advertido del riesgo para la vida por los efectos de Melissa, con probabilidad de que se produzcan inundaciones súbitas, penetraciones del mar en zonas bajas costeras, derrumbes e, incluso, roturas de presas.
Melissa cruzó Jamaica este martes, dejando más de medio millón de personas sin luz e inundaciones y deslizamientos de tierra en todo el país.
El primer ministro, Andrew Holness, declaró Jamaica como “zona catastrófica” e informó que unas 15.000 personas están alojados en refugios en este momento.
El huracán impactó Jamaica todavía siendo de categoría 5 y luego disminuyó a categoría 4, algo que se tenía previsto que sucediera al entrar en contacto con tierra.
Ten la información al instante en tu celular. Únete al grupo de Diario Primicia en WhatsApp a través del siguiente link: https://chat.whatsapp.com/
También estamos en Telegram como @DiarioPrimicia, únete aquí:https://t.me/
